
Riikka Wirta
yrittäjä, toimitusjohtaja, LKV, LVV, KiLAT, BBA
riikka.wirta@kiinteistomaailma.fi
puh. 050 571 3604
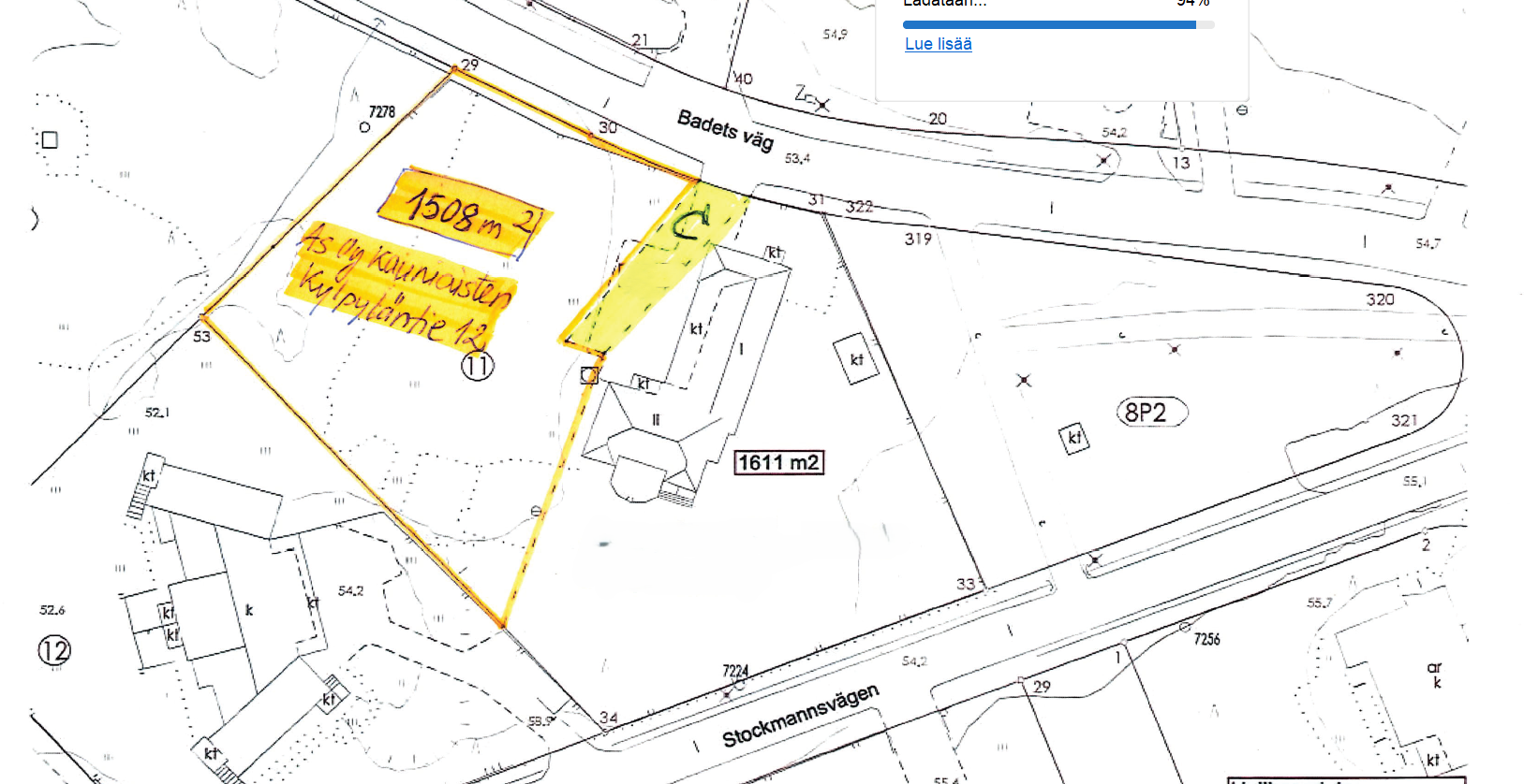
Upea rakennuspaikka yhdelle tai kahdelle erillistalolle- hyvässä osoitteessa. Myytävän määräosan hallinta-alue on 1508 m², peittoala 212 m² ja rakennusoikeutta 445 m². Määräosaan on mahdollisuus rakentaa yksi erillistalo tai kaksi erillistaloa kahteen kerrokseen. Asunto-Osake yhtiö myy koko osakekannan. Kahden erillistalon määräosat jaettuina olisivat seuraavat: määräosa B n. 763m2 rakennusoikeus 222,5m2 peittoala 106m2 ja A n. 649m2 rakennusoikeus 222,5m2 peittoala 106m2. Myyjän toiveesta määräosilla käynti vain välittäjän kanssa.